Forecasting coral reef resilience to bleaching in the Coral Triangle with machine-learning
NOTE: There are GOBS of pictures on this page, so it may momentarily crash your computer while loading (or not open at all if you have a slow internet connection).
Map compliments of WWF
Alongisde Drs. Victor Tizcon of the Institute of Biological Sciences of the University of the Philippines-Los Banos, Gino Limmon of Ambon, Indonesia's Pattimura University, and other coral reef scientists and conservationists within the high-biodiversity “Coral Triangle,” I am trying to use an analytics approach to optimize coral reef conservation and, when necessary, restoration. This previously involved sampling corals and using fancy, expensive, molecular “stress tests.” Now, I’m trying to “work backwards,” using the data from these (and other) projects to understand which conservation tools give you the most “bang for your buck:” i.e., the greatest number of climate-proofed corals at the lowest cost.
I am admittedly playing favorites here; although all of Earth’s coral reefs are deserving of this data science approach, I am more inclined to come to the aid of those that have NOT already degraded considerably, such as those of the highly imperiled Caribbean. As the two largest archipelagos on Earth, they also contain more reef acreage than anywhere else; this unfortunately means they stand to lose the most in the coming decades, as global seawater temperatures continue to rise. For more details of this project, which additionally features the development and field employment of a "bleaching susceptibility index" that would enable us to predict which corals will bleach in response to unfavorable environmental conditions and which will not, please see this document.
And if you don't think these are reefs worth saving, check out some of my pics from my April 2018 trip to Maluku, Indonesia:
Some good diving can be done right outside of the "big" city of Kota Ambon.
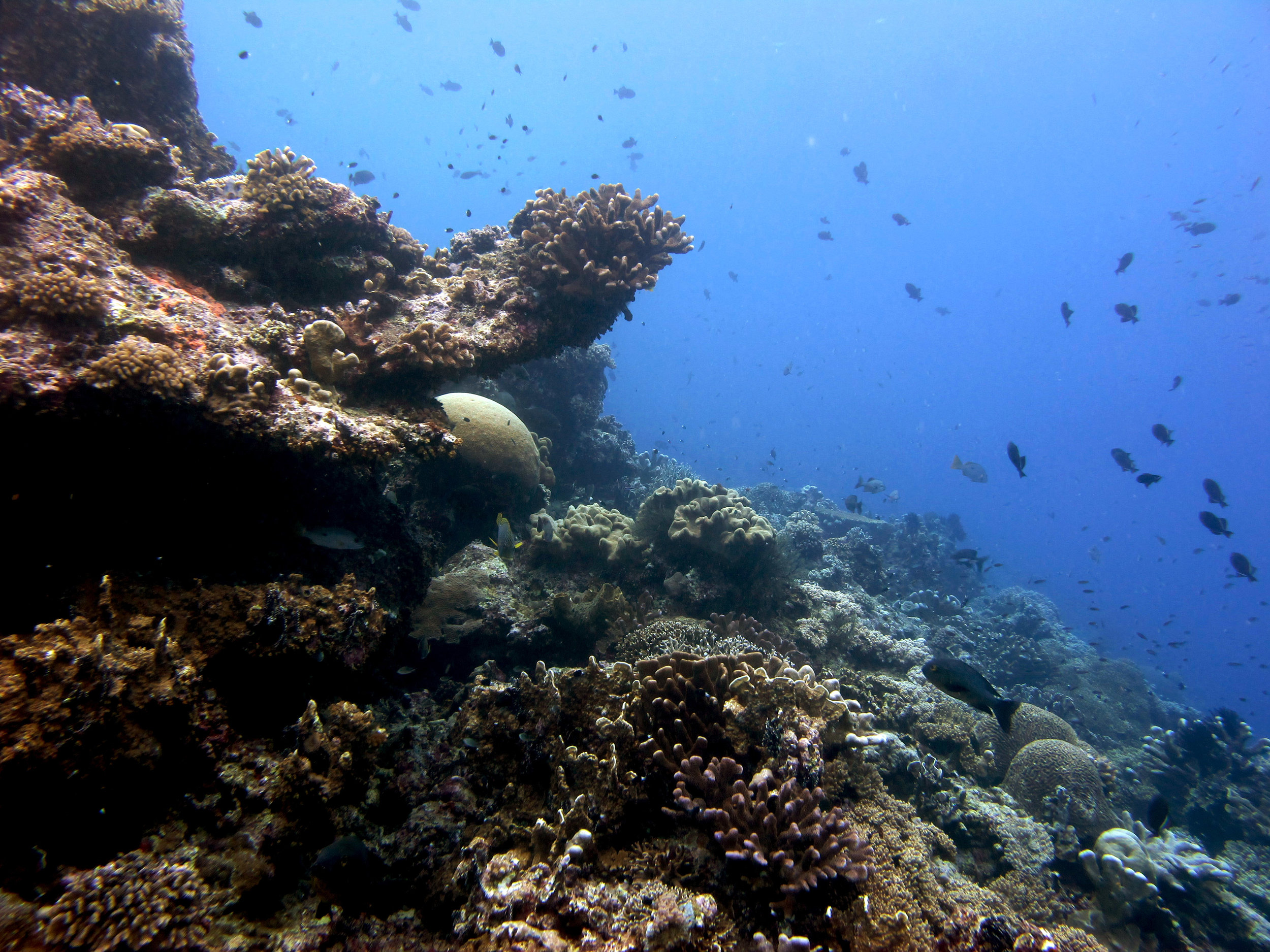
Air Manis (Ambon Bay, near airport)






















































































































































Rhino City (Ambon Bay, near airport)





















































Laha-2 (Ambon Bay, near airport)










































Ambon, the "big" city of Maluku, is actually a pretty beautiful, tranquil place (aside from the horrendous traffic jams [not shown])



















A 6-hr ferry from Ambon takes you to the lovely Banda Islands (late-April 2018). I’m a big fan of Luminocean, who received funds from CORDAP to advance their coral reef conservation and education initiatives in this amazing place.
Banda Islands dive #1: Tanjung Serang/Pisang (Banana Island)


























































































































































































Second dive in the Banda Islands- “Lava Flow.” This ranks in my top five dives of ALL time (and the only of the top five for which I have extensive photographic evidence to support my claim!)




























































































































































































Banda Islands dive #3: Lighthouse (near Bandaneira)







































































Banda Islands dive #5: "airport" (not sure what happened to my photos from site#4)



Banda Islands dive #6: "Lighthouse" (round 3)





Banda Islands dive #7: Pulau Ai-site 1

Banda Islands dive #8: second dive at Pulau Ai. Another "top-5" dive of my life.

Banda Islands dive #9 (the last one, sadly): Batu Kapul. I actually thought this site was over-rated, but the local divemasters all seemed to love it!
